物件詳細情報
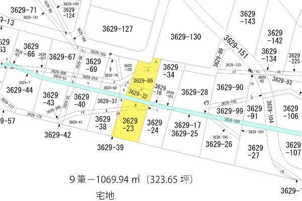
↑安曇野を眼下に一望。すばらしい眺望。敷地内を渓流が流れる。 [121693]売地 1069m2(323坪)。里の眺望と渓流がある高台の土地 看板: 安曇野市穂高有明3629-86ほか
|
しゃくなげの湯の北西に位置する。坂道を登った高台にある土地。敷地の南が広く開け、安曇野を見おろす眺望がすばらしい。敷地内を渓流が流れる。温泉・下水引込み可能。
| 用途地域 | 無指定 | 価格 | 9,000,000円 |
| 地目 | 宅地 | 共用施設負担金 | |
| 敷地/私道負担 | 1069.94u(323.65坪)/ | 販売区画 | 1 |
| 現状 | 原野(建物無) | 都市計画法 | 都市計画区域 |
| 坪単価 | 約2.78万円 | 建蔽率/容積率 | 20%/40% |
| 交通手段 | JR大糸線穂高駅から5.2Km | 完成(予定)日 | - |
| 権利形態 | 所有権 | 法令の制限 | 安曇野市の適正な土地利用に関する条例、安曇野市景観条例 |
| 引渡し日 | 即日 | 取引態様 | 仲介 |
| 地勢 | ほぼ平坦一部傾斜 | 看板 | |
| 地区・区域 | 山麓保養区域 | 高さ制限 | 10m |
| 設備等 |
|
||
| その他 | |||
| 情報登録日 | 2025年12月05日 | 次回更新予定 | 随時 |






















印刷
お問い合わせ
返済シミュレーション
BACK